首页 > 学科介绍
电话预约热线:相信大家都有这样的经历,小时候皮肤很光滑很白,而随着年龄增长,面部皮肤逐渐出现了小黑点,这其实就是黑色素的沉着。色素沉着会让人的皮肤看起来老化粗糙,影响整体面部形象,这也因此给很多女性带来了烦恼和困扰。如何改善色素沉着,恢复皮肤的美白光滑呢?

差距到底有多大!
色素祛除要趁早,否则只会越沉淀越深

一、华肤专家解析:色素沉着的原因!
1、内因:一个重要原因便是人体内分泌失调,根据医生研究表明,大多是情况下人面部出现色斑、暗疮等问题,都是内分泌失调导致的。另外,一个重要因素是遗传,如果一个人18岁以前出现色素沉着,则很可能与遗传有关。

2、外因:近年来,环境质量越来越差,各种光线、紫外线会直射人们的皮肤。这时人体内就会分泌出大量黑色素保护来皮肤,便导致色素沉淀。此外,很多女性出现黑斑是因为使用了大量的化妆品,皮肤清洁不当也会产生色素沉着。(受阳光、紫外线辐射或化妆品、药物及其它物质刺激后,黑色的皮肤色素沉积于底层,便形成了色素沉着。)
南京华肤皮肤美容首席专家邢广梅提醒:
警惕皮肤越来越暗沉!不断的与阳光、辐射和化妆品的接触后,皮肤的色素沉积会越来越多,肤色也会越来越暗沉、发黄、变黑。如果在皮下色素沉淀变陈旧之前就进行治疗,不仅难度低,且效果也会更好。
预约预约咨询专家,如何去除黑色素?
二、祛除色素沉着,警惕进入一下误区!
祛除色素沉着
不要再迷信这些方法!
1、食物疗法

见效慢、没有针对性、无明显效果
2、药物疗法

副作用大、易导致其他并发症
3、护肤用品

只有遮盖作用、无法消除暗沉
4、小美容院

无医疗资质、不做检测、不安全
三、色素沉着怎么办?
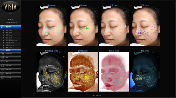
1、皮肤检测 全面分析肌肤状态

皮肤检测仪运用光学成像RBX,即时测出和分析表皮的斑点、毛孔、皱纹和皮肤纹理,以及由于紫外线照射而产生的皮下血管和色素性病变,根据科学数据,定制专属于每个人的淡沉美肤方案。
南京华肤去除黑色素多少钱?
四、多重淡沉疗法 色素沉着不用怕
1、激光射频
综合改善肤质实现肌肤美白透亮

华肤拥有国际科学的激光射频嫩肤仪器,采用进口复合彩光M22王者之心、Cynergy调Q755、MedliteC6激光、强脉冲CO2激光等多种一起,综合改善肤质实现肌肤美白透亮。
点击在线预约咨询专家,色素沉着要怎么祛除好?
2、嵌入式疗法
深入至中胚层 滋养深层肌肤

通过效果显著的微针美塑、补水嫩肤等形式,采用超微渗透技术,定位、定层、定量的把含有多种营养成分,高浓度的皮肤营养成份,直接透过表皮输送到皮下深层组织,淡化色沉,提亮肤色。
点击预约咨询,了解更多
3、抗氧化综合调理
内辅外疗全效补水淡沉嫩肤

华肤倡导多项组合、内辅外疗的治疗理念,因此结合特有的中药药包调理、果酸焕肤及清洁嫩肤等多种护理,自内而外清洁排毒,实现抗氧化及健康内调,从而进一步改善色素沉着等肌肤问题。
点击在线预约咨询专家,制定治疗方案
五、个性定制方案 华肤祛除色素沉着不是梦
1、肤色暗黄患者
皮肤发黄,有轻微的雀斑及色沉。

华肤治疗前后效果
2、色素沉着
由于日晒,化妆等导致轻微色沉。

治疗前后效果
4、痘印痘坑
非专业医学祛痘,留下痘印痘坑。

我也想要专家定制方案,点击立即预约专家
六、华肤细致化诊疗 还原嫩白美肌

点击快速在线预约华肤祛斑
七、祛斑实力派 华肤皮肤美容专家
年丰富经验+业绩口碑

邢广梅 南京华肤皮肤美容主任
擅长项目:美白嫩肤、痘痘、白癜风、黄褐斑、雀斑或色素性疾病治疗等。
【个人简介】
邢广梅,女,中医世家出身,从事中医皮肤病临床科研及诊疗工作近30年,对技术精益求精,对事业执着追求,对患者热诚关怀,先后在专业杂志上发表论文多篇。在近30年的临床工作中逐渐形成了自己独特的学术见解和专业技术专长。在国内《中国实用皮肤病学杂志》、《中华皮肤科杂志》等医学刊物上发表文章数篇,受到同行权威专家的一致认可,在近年来形成了自己一套独特的中西医治疗方案,通过临床数据显示,治疗效果良好。
>>预约咨询邢广梅主任,在线预约治疗免排队<<
【荣誉成就】
获国家专利8项,科技成果12项,省部级科技进步奖8次,多次应邀出访欧美国家进行学术交流、讲学,临床工作成绩显著,广受好评。

【预约须知】
1、医院将根据专家具体出诊时间,为患者提供24小时无假日预约申请通道。免费预约专家入口>>>
2、预约成功后,将及时以短信形式通知患者,请牢记预约专家号,此为就诊唯一凭证,来院凭预约号可由导医安排优先就诊。
3、由于专家号源紧张,若未能及时就诊,请务必及时电话通知医院导医处改约或取消专家号。医院电话:025-83475596。
>>>点击进入邢广梅主任专项预约挂号通道<<<
南京华肤皮肤病研究所是一家以中医特色见长,中西医结合优势明显的经国家工商管理总局注册的全国皮肤病专科品牌医院。拥有中国人民解放军海军总医院、上海华山医院、上海华东医院等三甲专家亲诊,学科完备、专家云集、技术领先、设备齐全、服务理念先进,是高品质、高水准、百姓信赖的皮肤病品牌医院。